Строительный паспорт
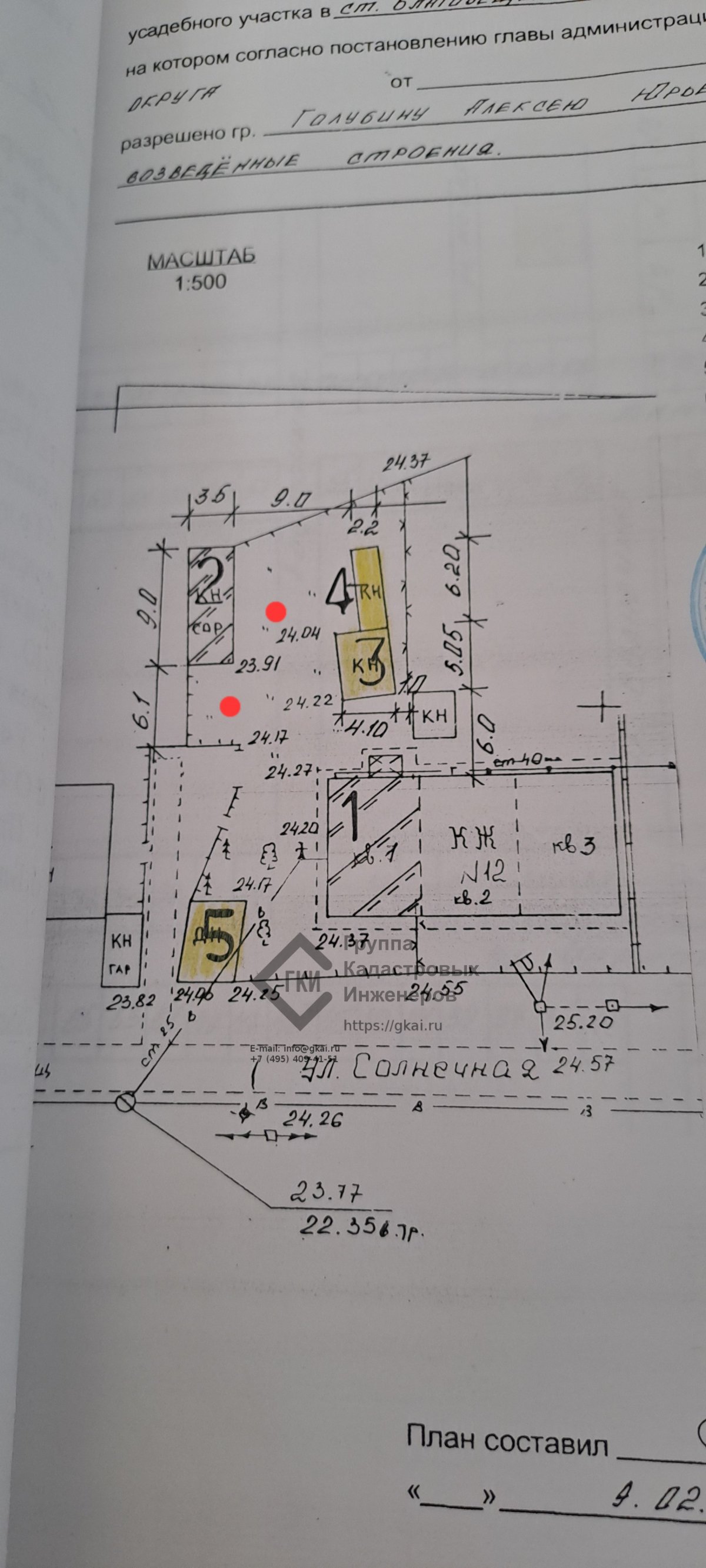
Здравствуйте, сможете ли помочь разобраться в строительном паспорте придомового участка. Наша квартира 1. А строение 2 кн сарай, а также территория рядом с этим сараем (отметила красными точками) является собственностью соседей! Но почему тогда не обозначены границы? В других местах они обозначены. Мы хотим поставить забор, отгородив их землю и их сараи. Как нам разобраться где ставить забор? И имеют ли право они ходить к своему сараю через наш участок? Тоесть нам придётся им делать калитку? Или же мы имеем право отгородить их сараи и землю, чтоьы они ходили к ним со стороны улицы допустим, а не через нас? Помогите пожалуйста.

Ваш вопрос или комментарий